Līču slāņi karte

Dabas pieminekli veido Gaujas III virspalu terases fragments Gaujas kreisajā krastā, kur smalkas smilts un aleirīta nogulumos konstatētas augu makroatliekas.

Gaujas ielejas Valmieras – Murjāņu posmā ir izsekojams virspalu terašu komplekss, ko O.Āboltiņš apvieno Siguldas terašu spektrā. Pētījumos tiek uzsvērta III virspalu terases ievērojamais nogulumu biezums (līdz pat 14-16 m) un veidošanās ļoti intensīvas nogulumu uzkrāšanās apstākļos (konstratīvais tips, prevalējot gultnes fācijām, kas mijas ar palienes un, atsevišķās vietās, vecupes fācijām.

Līču slāņi

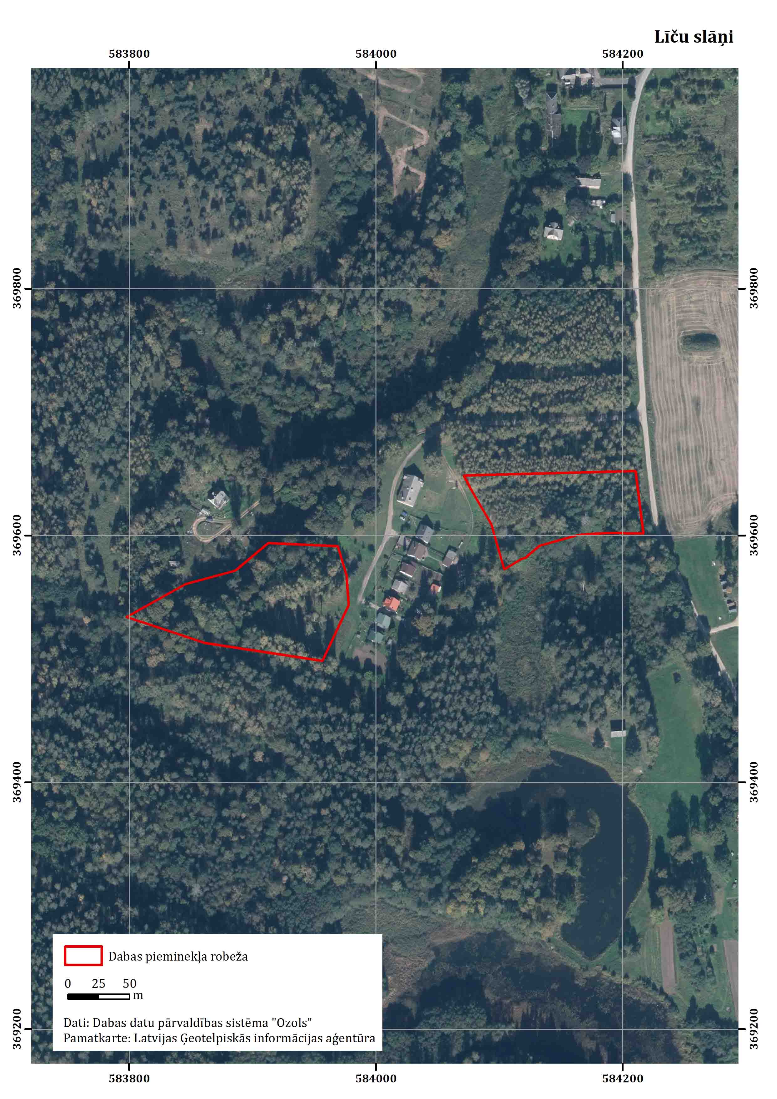
Aizsardzības kategorija: aizsargājams ģeoloģisks un ģeomorfoloģisks dabas piemineklis, atrodas Gaujas Nacionālajā parkā.
Kods: LV0441850
Administratīvais iedalījums: Valmieras novads, Kauguru pagasts
Pārvalde: Dabas aizsardzības pārvaldes struktūrvienība Vidzemes reģionālā administrācija.

Teritorija ir izvietojusies Ziemeļvidzemes zemienē, Burtnieka līdzenuma dienvidu daļā, Gaujas senlejā, upes kreisajā krastā.

Dabas pieminekli veido Gaujas III virspalu terases fragments Gaujas kreisajā krastā, kur smalkas smilts un aleirīta nogulumos konstatētas augu makroatliekas.

Gaujas ielejas Valmieras – Murjāņu posmā ir izsekojams virspalu terašu komplekss, ko O. Āboltiņš apvieno Siguldas terašu spektrā. Pētījumos tiek uzsvērta III virspalu terases ievērojamais nogulumu biezums (līdz pat 14-16 m) un veidošanās ļoti intensīvas nogulumu uzkrāšanās apstākļos (konstratīvais tips, prevalējot gultnes fācijām, kas mijas ar palienes un, atsevišķās vietās, vecupes fācijām.

Sanatorijas „Līči” apkaimē Gaujas trešā virspalu terase atrodas 38-40 m v.j.l., kas ir 11 – 14 m augstumā virs Gaujas līmeņa. Terase ir labi izsekojama līdz 1500 m garā un 300 m platā ielejas posmā. Ļoti labi ir izteikta Gaujas III virspalu terases nogāze.

Pagājušā gadsimta otrajā pusē veicot šurfēšanu nogulumos, kas veido Gaujas III virspalu terasi, smalkās smiltīs konstatēti augu atlieku ieslēgumi no 2,91 m līdz 3,16 m un no 3,47 m līdz 4,35 m no zemes virsmas. Nosakot augu makroskopisko augu atlieku vecumu ar radioaktīvā oglekļa datēšanas metodi, iegūtie rezultāti liecina, ka šo Gaujas trešajā virspalu terasē atrasto augu makroskopisko atlieku vecums ir 10 535 ± 250 (Ri-33) un 10 282 ± 250 (Ri33A) 14C gadi p.m. Pamatojoties minēto datēšanu Gaujas III virspalu terases vecums tiek piesaistīts pleistocēna (leduslaikmeta) noslēgumam - Allerēda otrajai pusei un Vēlā driasa klimatiskajam laikposmam, un tiek korelēts ar Baltijas ledusezera Bgl II stadiju. Tādejādi Līču slāņi ir ļoti nozīmīgi no stratigrāfijas viedokļa.

Vēsturisko pētījumu teritorija visticamāk šobrīd ir apbūvēta, tomēr blakusesošās teritorijas ir iespējams saglabāt zinātniekiem pētījumiem.

Pēdējie pētījumi Līču slāņos veikti 2012. gada vasarā ar mērķi papildināt jau zināmo informāciju par Gaujas trešās virspalu terases nogulumu sastāvu un uzbūvi, kā arī ievākt jaunus augu makroskopiskās atliekas saturošus paraugus, lai papildinātu datus par virspalu terases vecumu ar radioaktīvā oglekļa datēšanas metodi. Pirms pētījumu uzsākšanas no literatūras avotiem, intervijas ar O. Āboltiņu (pers. kom.) un fotofiksācijām tika noskaidrota agrāko pētījumu atrašanās vieta. Ar rokas urbi tika izveidoti vairāki urbumi. Urbumi tika ierīkoti 55, 110, 135 un 140 m uz austrumiem no sanatorijas „Līči” jaunās dzīvojamās ēkas. Iegūto ģeoloģisko griezumu veidoja smalkas smilts ar aleirītu un aleirīta slāņmija. Stipri izkliedētas augu makroskopiskās atliekas tika atrastas gandrīz visos urbumos no 3,19 m līdz 4,19 m un no 6,93 m līdz 7,21 m dziļumā no zemes virsmas, t.i. 35,39-34,39 m un 30,92-30,64 m v.j.l. No urbumiem iegūtais augu makroskopisko atlieku daudzums izrādījās nepietiekams, lai veiktu to vecuma noteikšanu ar AMS 14C metodi. Parauga noņemšana, ņemot vērā gruntsūdens līmeni, būtu iespējama tikai sausā vasarā, ierīkojot skatrakumu.

Dabas datu pārvaldības sistēma OZOLS:
citi dati par šo un citām Latvijas īpaši aizsargājamām dabas teritorijām dabas datu pārvaldības sistēmā OZOLS